前橋市
前橋市岩神町3丁目1076番45
-
ハウス
メーカー 
- 販売価格
-
2,980万円建物価格 2,214.7万円 / 土地価格 765.3万円
- 交通
-
- 上毛電気鉄道上毛線「中央前橋」駅より徒歩34分(2700m)
- JR両毛線 湘南新宿ライン高海「前橋」駅 バス16分「群大病院停」徒歩14分(1120m)
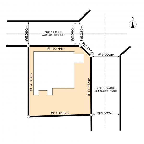
- 土地面積
- 337.35m²
- 間取り
- 間取:5LDK 間取詳細:5LDK+書斎+WIC
- 建物面積
- 174.75m²
- 築年月
- 2001年7 月
- 物件PR
- 積水ハウス株式会社施工
5LDK+書斎+WIC
岩神小学校まで徒歩8分
第三中学校まで徒歩14分の立地です
ベイシアスーパーマーケット前橋岩神店まで徒歩9分
高崎市
このマークのある物件は、安心R住宅です。
安心R住宅とは、耐震性等国土交通省が定めた要件に適合した既存住宅のことです。
※詳細は、一般社団法人 優良ストック住宅推進協議会までお問合せください。













































